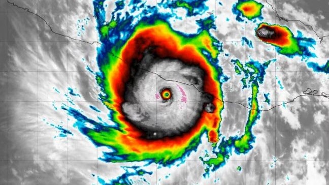
Hurrikan Otis nimmt Kurs auf Mexiko.
Screenshot / X
Hurrikan Otis nimmt Kurs auf Mexiko.
Jetzt E-Paper lesen