Dringende Warnung

300 km/h – "katastrophaler" Hurrikan rast auf Küste zu

Das Nationale Hurrikanzentrum der USA warnt jetzt vor katastrophalen Schäden dort, wo Orkan Otis auf Land trifft.
25.10.2023, 09:46
Loading...
Angemeldet als Hier findest du deine letzten Kommentare
Alle Kommentare
Meine Kommentare
Sortieren nach:

Kommentare neu laden
Nach oben

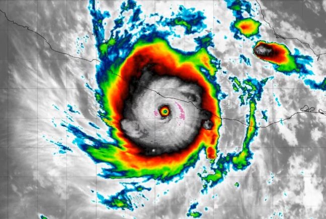
Der auf das Touristenzentrum Acapulco in Mexiko zusteuernde Hurrikan Otis ist zu einem "potenziell katastrophalen" Hurrikan der Kategorie fünf heraufgestuft worden. "Dort, wo das Zentrum des Wirbelsturms auf die Küste trifft, sind katastrophale Schäden wahrscheinlich", warnte das Nationale Hurrikanzentrum der USA (NHC) am Dienstag (Ortszeit). Otis befinde sich derzeit rund 88 Kilometer von Acapulco entfernt über dem Meer und erreiche Windgeschwindigkeiten von bis zu 260 Stundenkilometern, erklärte das NHC weiter. MeteoNews spricht sogar von Geschwindigkeiten von über 300 km/h.

Für den Küstenabschnitt zwischen Punta Maldonado und Zihuatanejo sei eine Hurrikan-Warnung herausgegeben worden. Nach dem Landfall soll sich der Hurrikan Prognosen zufolge jedoch rasch wieder abschwächen.

Schulen geschlossen

In Acapulco im Bundesstaat Guerrero wurden indes Vorkehrungen getroffen. Soldaten waren an der Strandpromenade stationiert, Schulen wurden auf Anordnung der lokalen Regierung geschlossen und Notunterkünfte vorbereitet.

In Guerrero und Teilen des benachbarten Bundesstaates Oaxaca wurden Niederschläge von bis zu 51 Zentimetern erwartet, warnte das NHC. Diese könnten zu Sturzfluten und Überschwemmungen in den Städten und zu Schlammlawinen in höher gelegenen Regionen führen.

Notunterkünfte aufsuchen

Präsident Andres Manuel López Obrador rief die Menschen in Onlinediensten dazu auf, Notunterkünfte aufzusuchen und sich von Flüssen, Bächen und Schluchten fernzuhalten.

Am 9. Oktober 1997 war in Acapulco der Hurrikan Paulina der Kategorie vier auf Land getroffen.

{title && {title} } 20 Minuten,wil, {title && {title} } 25.10.2023, 09:46
Mehr zum Thema
Jetzt E-Paper lesen