Österreich

Schwerverletzter bei Crash am Verteilerkreis

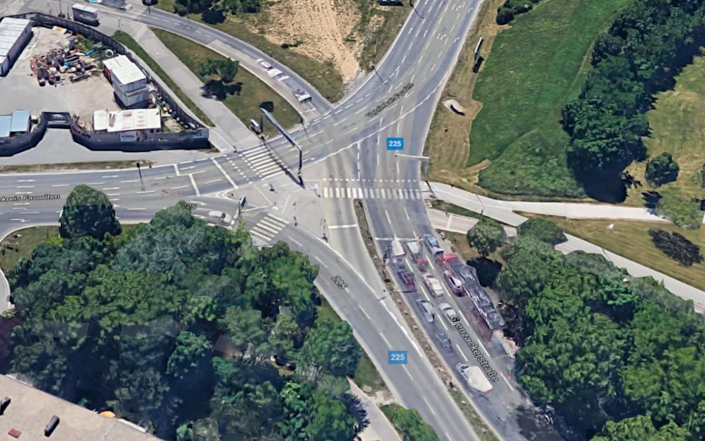
Sonntagnacht, gegen 23.20 Uhr, ist ein Fußgänger bei einer Ausfahrt des Verteilerkreises Favoriten von einem Pkw erfasst und schwer verletzt worden.
Heute Redaktion
13.09.2021, 14:24

Nach ersten Erhebungen lenkte ein 57-Jähriger sein Fahrzeug auf dem Alten Landgut (Verteilerkreis Favoriten) und beabsichtigte nach rechts in die Grenzackerstraße einzubiegen. Der 57-Jährige benutzte dabei den äußerst rechten Fahrstreifen. Ein weiterer Pkw fuhr auf dem Fahrstreifen daneben.

Dann geschah das Unglück: Ein 43-jähriger Fußgänger hatte trotz Rotlicht den Schutzweg an der Kreuzung betreten. Sofort stieg der 57-Jährige in die Bremsen, konnte sein Fahrzeug jedoch nicht mehr rechtzeitig anhalten und erfasste den Mann. In weiterer Folge blieb der Verletzte am linken Fahrstreifen liegen.

Der zweite Pkw-Lenker, welcher am linken Fahrstreifen unterwegs war, konnte sein Fahrzeug gerade noch vor dem Passanten zum Stillstand bringen. Doch ein nachfahrender Wagen konnte nicht mehr rechtzeitig bremsen und knallte hinten auf den stehenden Pkw.

Lenker und Opfer betrunken

Durch den Unfall wurde der Fußgänger schwer verletzt. Er wurde mit der Berufsrettung Wien in ein Krankenhaus gebracht. Eine Untersuchung des Atemalkoholgehalts ergab einen Wert von 2,5 Promille.

Bei dem Lenker des auffahrenden Fahrzeuges wurde ebenfalls ein Alkomattest durchgeführt. Auch dieser verlief positiv und ergab einen Wert von 1,2 Promille.

Jetzt E-Paper lesen