Science

Forscher rätseln über mysteriöse Löcher im Meeresboden

In 2,5 Kilometern Tiefe wurden "mysteriöse Löcher" entdeckt, deren Herkunft noch nicht geklärt werden konnte. Aber es gibt eine Theorie.
Sabine Primes
03.08.2022, 06:57
Loading...
Angemeldet als Hier findest du deine letzten Kommentare
Alle Kommentare
Meine Kommentare
Sortieren nach:

Kommentare neu laden
Nach oben

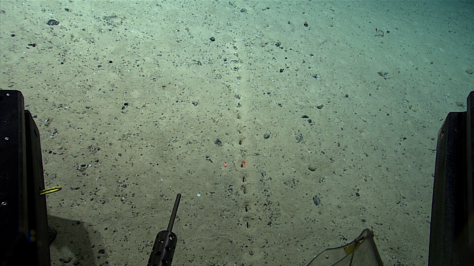
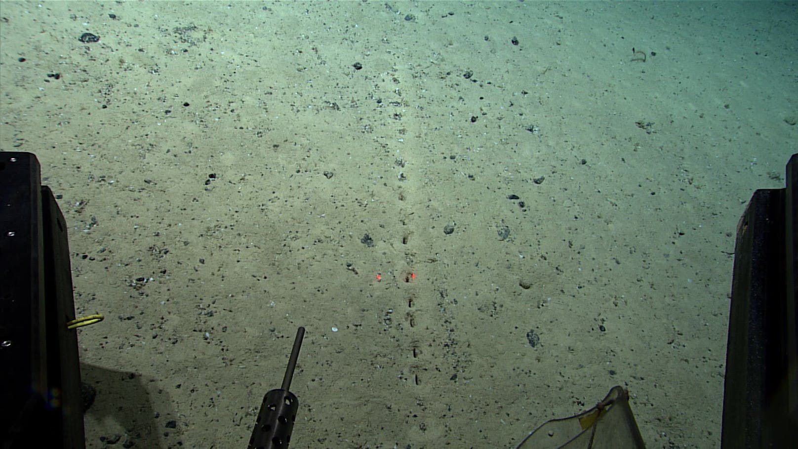
Forscher der National Oceanic and Atmospheric Administration haben bei einem Roboter-Tauchgang nördlich von den Azoren eine seltsame Entdeckung gemacht. Während der Expedition stießen sie in einer Tiefe von 2.540 Metern auf mehrere Löcher im Meeresboden.

Während die Löcher fast wie von Menschenhand gemacht aussehen, lassen die kleinen Ablagerungen um sie herum darauf schließen, dass sie ausgegraben wurden, schlussfolgern die Wissenschaftler. Sie versuchten, einen Blick in die Löcher zu werfen und sie mit den Werkzeugen des ferngesteuerten Fahrzeugs genauer zu untersuchen, was aber nicht möglich war. Es sei auch nicht ersichtlich gewesen, ob die Löcher miteinander verbunden sind.

Der rote Laserpointer markiert eines der Löcher in einer geraden Spur.
National Oceanic and Atmospheric Administration
Wie eine richtige Spur ziehen sich die Löcher durch den Meeresboden.
National Oceanic and Atmospheric Administration

Umfrage in sozialen Medien

Weil sich die Wissenschaftler über den Ursprung dieser Löcher nicht sicher sind, starteten sie eine Umfrage in den sozialen Medien. "Wir haben auf Social-Media-Plattformen wie Twitter und Facebook gefragt, welche Hypothesen die Öffentlichkeit über die Entstehung dieser Löcher haben könnte. Wir erhielten eine Vielzahl von Antworten, von Außerirdischen über eine unbekannte Krabbenart bis hin zu Gas, das aus dem Meeresboden aufsteigt und vieles mehr", schreiben sie auf ihrer Homepage.

Hypothese über Ursprung

Dies war jedoch nicht das erste Mal, dass Wissenschaftler auf diese mysteriösen Löcher gestoßen sind. Im Juli 2004 entdeckten Wissenschaftler während einer Expedition entlang des nördlichen Mittelatlantischen Rückens in einer Tiefe von 2.082 Metern mehrere dieser Löcher. Ein Artikel der Wissenschaftler Michael Vecchione und Odd Aksel Bergstad zeigt, wie diese ungewöhnlichen Löcher auf Lücken in unserem grundlegenden Verständnis der Ökosysteme des Mittelozeanischen Rückens hinweisen. In dem Papier gehen die Wissenschaftler auf einige der in den sozialen Medien geteilten Hypothesen ein.

Ichnofossilien (auch Spurenfossilien genannt) sind versteinerte Spuren oftmals ausgestorbener Lebewesen. Man unterscheidet sie von den Körperfossilien dadurch, dass sie nicht den Leichnam des Verursachers enthalten, sondern nur aus dessen Bewegungen zu Lebzeiten entstanden sind.

Vecchione und Bergstad konnten zwar nicht endgültig feststellen, woher die Löcher stammen oder wie sie entstanden sind, aber sie stellen die Hypothese auf, dass es Ausgrabungen eines im Sediment lebenden Organismus sind. Möglich wäre auch, dass sie ein größerer Organismus auf der Oberfläche gegraben hat. Sie bezeichnen die Löcher als "Lebensspuren". Diese Lebensspuren erinnern an Ichnofossilien, die aus Tiefseegestein bekannt sind. Der letztendliche Ursprung der Löcher ist nach wie vor ein Rätsel.

Mehr zum Thema
Jetzt E-Paper lesen