Super-Wirbelstürme

Hurrikans jetzt so stark, dass es neue Skala braucht

Stürme werden immer stärker: In den letzten Jahren wurde die gebräuchliche Hurrikan-Skala mehrfach gesprengt. Forscher wollen diese nun erweitern.
20 Minuten
10.02.2024, 06:48
Loading...
Angemeldet als Hier findest du deine letzten Kommentare
Alle Kommentare
Meine Kommentare
Sortieren nach:

Kommentare neu laden
Nach oben

Mehr ist nicht immer besser. Das gilt insbesondere, wenn es um Wirbelstürme geht. Es ist nicht gut, wenn es mehr von ihnen gibt. Und es ist auch nicht gut, wenn sie heftiger werden und mit mehr Kilometern pro Stunde wüten. Doch genau das war in den letzten Jahren zu beobachten. Deshalb schlagen die US-Klimaforscher Michael F. Wehner und James P. Kossin vor, die bisher fünfstufige Hurrikan-Skala (siehe Box unten) um eine Stufe 6 zu erweitern.

Die Saffir-Simpson-Hurrikan-Skala

Die Skala wurde 1969 von den US-Meteorologen Herbert Saffir und Bob Simpson eingeführt und dient der Einordnung von Hurrikans. Sie beruht auf Messungen der maximalen Windgeschwindigkeit in zehn Metern Höhe. Die Skala reicht von Kategorie 1 bis 5 und klassifiziert die Wirbelstürme anhand ihrer maximalen anhaltenden Windgeschwindigkeiten:

Tropisches Tief unter 62 km/h

Tropischer Sturm zwischen 63 und 118 km/h

Hurrikan Kategorie 1 zwischen 119 und 153 km/h

Hurrikan Kategorie 2 zwischen 154 und 177 km/h

Hurrikan Kategorie 3 zwischen 178 und 208 km/h

Hurrikan Kategorie 4  zwischen 209 und 251 km/h

Hurrikan Kategorie 5 über 252 km/h

Das steckt hinter dem Vorhaben

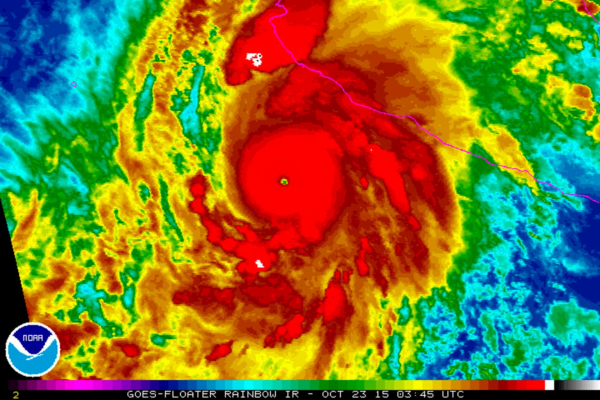
Die aktuell höchste Stufe gilt ab Windgeschwindigkeiten von 252 km/h und ist nach oben hin offen. Das heißt: Selbst extreme Hurrikans wie Hurrikan Patricia, der im Oktober 2015 eine Spitzengeschwindigkeit von 345 km/h erreichte, fallen in diese Kategorie.

Super-Hurrikan Patricia am 23. Oktober 2015 von der Raumstation ISS aus gesehen.
SCOTT KELLY / EPA / picturedesk.com

Das ist aus Sicht der Klimaforscher nicht ungefährlich. Denn werde ein solcher Hurrikan wie Patricia als Kategorie-5-Hurrikan klassifiziert, könnten Menschen eine Hurrikanwarnung unterschätzen, so Wehner und Kossin. "Das ist in einer sich erwärmenden Welt besonders problematisch."

Was hat der Klimawandel mit Wirbelstürmen zu tun?

Der Klimawandel trägt zur Verstärkung von Wirbelstürmen bei. Wärmere Meerestemperaturen liefern mehr Energie für Hurrikane. "Es werden daher immer neue Windgeschwindigkeitsrekorde gebrochen werden", so die Forscher. Mit dieser Meinung stehen sie nicht allein. Schon 2018 schrieben Klimafachleute auf Realclimate.org, dass sie infolge des Klimawandels nicht unbedingt mehr tropische Stürme, aber "eine zunehmende Zahl in den Kategorien 4 und 5 und besonders Stürme von bisher niemals erlebter Stärke" erwarteten.

Doch das ist noch nicht alles: Der Klimawandel sorgt laut Studien auch dafür, dass Hurrikans sich langsamer fortbewegen. Auch das ist problematisch, denn je länger ein Sturm über einem Gebiet verweilt, desto mehr Zeit hat er, Schaden anzurichten. Zudem verlängert die Erwärmung der Meere die Sturmsaison und verkürzt die Abstände zwischen aufeinanderfolgenden Hurrikans, wie das Wissensmagazin Scinexx.de schreibt. Selbst Europa könnte häufiger von ehemaligen Wirbelstürmen getroffen werden.

Welche Hurrikans sollen künftig in Kategorie 6 fallen?

Die Kategorie 6 soll nach Vorstellung der beiden Forscher Wirbelstürme umfassen, die höhere maximale Windgeschwindigkeiten als 309 Kilometer pro Stunde zeigen. Seit dem Jahr 2013 haben bereits fünf Stürme diesen hypothetischen Schwellenwert überschritten, wie die im Fachjournal "Proceedings of the National Academy of Sciences" veröffentlichte Analyse von Wehner und Kossin zeigt.

{title && {title} } 20 Minuten, {title && {title} } Akt. 10.02.2024, 12:58, 10.02.2024, 06:48
Jetzt Abendausgabe lesen