Kobaltvergiftung

Schmerzen, Verwirrung – Hüft-Implantat vergiftete Frau

Die Britin Tracey O'Neill bekam ein Kobalt-Chrom-Implantat eingesetzt. Dann begannen die Beschwerden. Was sie hatte, konnte lange nicht geklärt werden
Heute Life
20.10.2024, 06:58
Loading...
Angemeldet als Hier findest du deine letzten Kommentare
Alle Kommentare
Meine Kommentare
Sortieren nach:

Kommentare neu laden
Nach oben

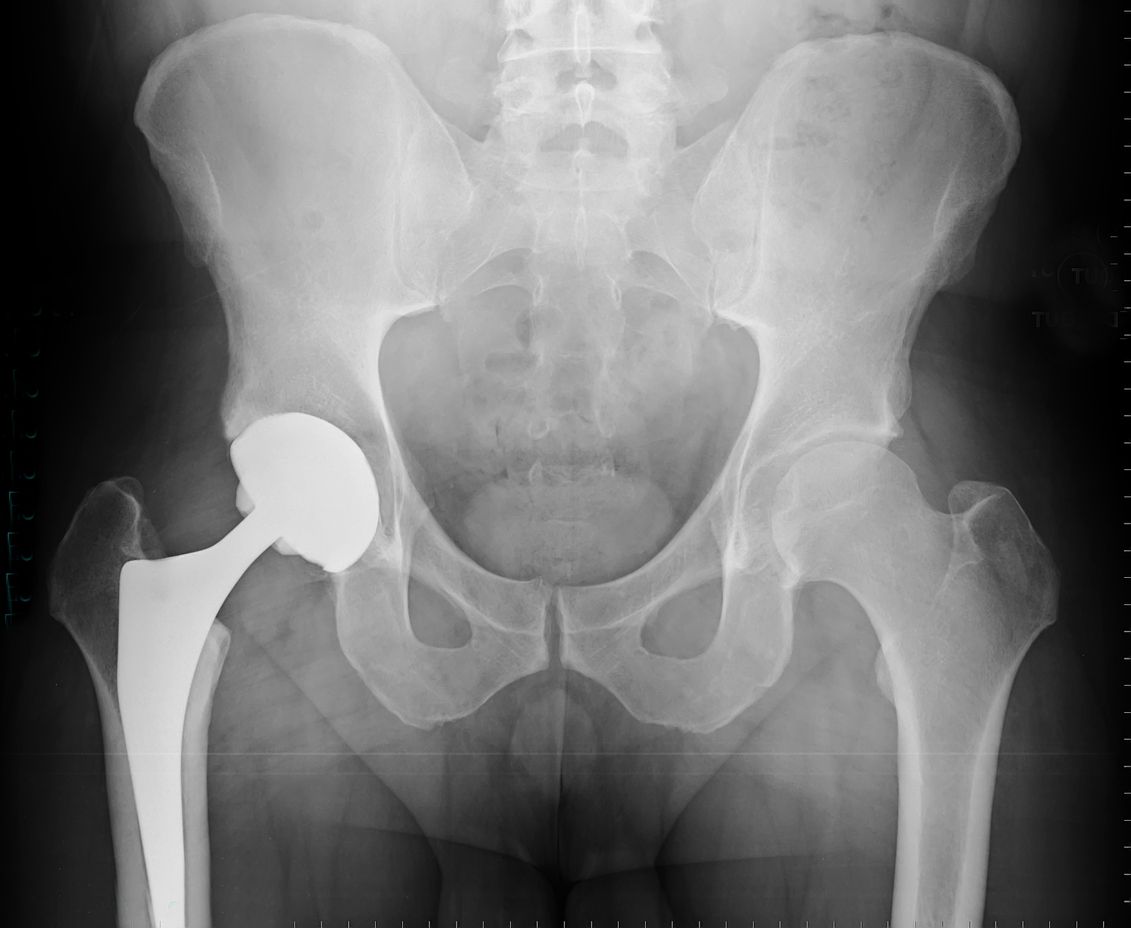
Tausende von Patienten mit künstlichem Hüftersatz könnten aufgrund der versteckten Abnutzung der eingesetzten Implantate einem Risiko einer Metallvergiftung ausgesetzt sein, warnen Aktivisten in Großbritannien.

Von 2009 bis 2017 wurden Kobalt-Chrom-Implantate in Großbritannien transplantiert – insbesondere bei jüngeren Patienten, von denen angenommen wurde, dass sie am meisten davon profitieren würden. Diese Implantate wurden bei ihrer Markteinführung als innovativ angepriesen, da sie flexibler als herkömmliche künstliche Gelenke seien und mehr vom ursprünglichen gesunden Gewebe des Patienten erhalten blieben. Später stellte sich jedoch heraus, dass sich diese Implantate, die Kobaltbestandteile enthielten, zersetzen konnten, wodurch winzige Metallfragmente in den Blutkreislauf gelangen konnten und eine Reihe potenzieller Gesundheitsprobleme verursachen können. Eine Kobaltvergiftung wird mit Gedächtnisverlust, Depressionen, Seh- und Hörproblemen sowie Herzversagen und Nervenschäden in Verbindung gebracht.

"Im Körper einer 90-Jährigen gefangen"

Genau das passierte der ehemaligen Fitnesstrainerin Tracey O'Neill. Gegenüber The Telegraph machte sie nun öffentlich, wie sich das Hüftimplantat auf ihre Gesundheit ausgewirkt hat. Sie hatte gehofft, der Eingriff würde ihr helfen, ihre Beweglichkeit wiederzuerlangen, als sie sich 46-jährig im Jahr 2014 zum ersten Mal einer Hüft-OP unterzog. Stattdessen litt sie jahrelang unter gesundheitlichen Problemen, die ihr das Gefühl gaben, "im Körper einer 90-Jährigen gefangen" zu sein, und irgendwann begannen die Leute an ihrem Geisteszustand zu zweifeln.

Schmerzen, Schwellung, Verwirrung

O'Neill, der 2015 ein zweites ähnliches Implantat in die Hüfte eingesetzt wurde, bemerkte zunächst allgemeine Schmerzen und eine Schwellung rund um das Gelenk. Im Jahr 2019 litt sie unter Kurzatmigkeit und Müdigkeit sowie Herzproblemen. "Ich kam an den Punkt, an dem ich es nicht einmal mehr in einer einfachen Yogastunde schaffte, mich auf den Boden zu setzen und wieder aufzustehen", sagte sie gegenüber The Telegraph. "Manchmal redete ich mit Leuten und vergaß einfach das nächste Wort. Die Leute dachten, ich hätte den Verstand verloren."

Seit 2017 nicht mehr in Verwendung

Obwohl sie seit Jahren unter den Beschwerden litt und der britische Gesundheitsdienst NHS den allgemeinen Einsatz dieser Implantate 2017 einstellte, nachdem die Risiken deutlich wurden, dauerte es bis zum Jahr 2020, bis Mediziner den Zusammenhang zwischen ihren Symptomen und dem künstlichen Gelenk herstellten. Bei der heute 56-Jährigen wurde das erste Implantat operativ entfernt und durch ein Implantat aus einem anderen Material ersetzt. Beim zweiten Implantat wird derzeit auf Anzeichen von Verschleiß geachtet.

{title && {title} } red, {title && {title} } 20.10.2024, 06:58
Jetzt E-Paper lesen